FULTON, Texas — The Johnson family is fighting the Town of Fulton over property the family has owned for more than 40 years, and it's not the first time.
"We've already defined our property boundary," said property owner Rebecca Johnson. "We've gone to court and it's been upheld at the district, appellate, and (state) Supreme-Court level."
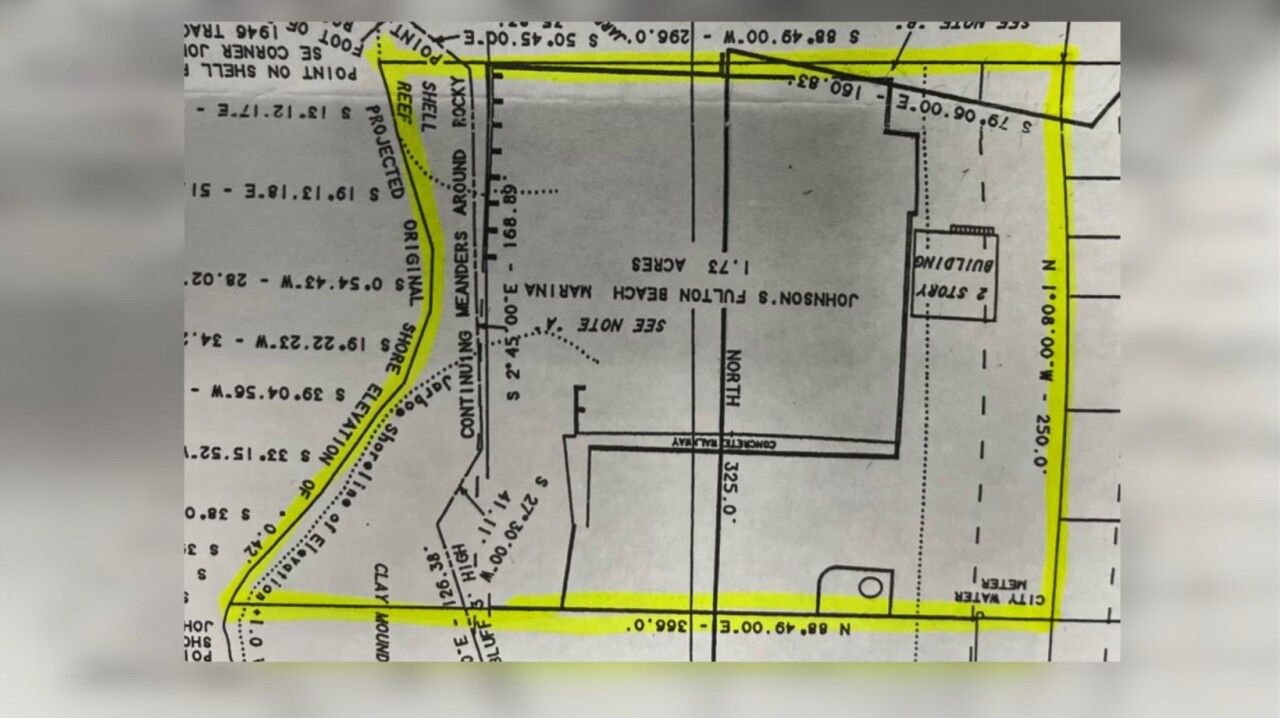
North Casterline Drive, which provides access to Fulton Beach Park, splits the Johnson property. In order to try and reduce the traffic on its property, the Johnson family began building a fence around its property. Last month, they tried to gate the road.

That's when the Town of Fulton stepped in with a Temporary Restraining Order, keeping the gate open and the fence incomplete.
"My intentions are to know, fence in, and have possession of every inch of my property that I pay taxes on," said property owner John Johnson. "I'm really tired of having to define my property lines over and over."
When KRIS 6 News visited with the family, traffic was light. But the Johnsons sent photos later that day that highlighted why, they say, they want to close the road off.

"I think fencing it off is the right thing to do, where I can develop it, and I don't have to answer to people about where my property line is and where it isn't," John Johnson said.
When the Johnsons bought the property, there was no street. Later, Casterline Drive was built.
KRIS 6 News tried to get the Town of Fulton's side to this dispute, but city officials declined our request for an interview.
City secretary Stephanie Garcia referred us to the town's filing in this case.
Depositions from both Mayor Kelli Cole and Police Chief Rick McLester state that "it does not matter who owns" the land because "it is a public right of way, and no one has the right or authority to barricade it off."
Despite that opinion, the Johnsons are confident.
"As far as I'm concerned, I own my property on the other side," John Johnson said.
"All we're asking for is respect as a private property owner," Rebecca Johnson added.
The hearing for the permanent injunction is set for 1:30 p.m. Thursday at the Aransas County Courthouse.